桑科Moraceae
常为木本,稀草本;常有乳汁。单叶互生,稀对生。花小,单性同株或异株,常集成头状花序、柔荑花序或隐头花序;花被4片,子房上位,稀下位,花柱2。小瘦果和核果,许多小瘦果组成聚花果,或瘦果包藏于肉质花托内,称为隐花果。
约70属,1800种;我国有17属,160余种。
分属检索表
1.柔荑花序或头状花序……一……………………………………………………………2
1.隐头花序;小枝有环状托叶痕…………………………………………………………榕树属
2.至少雄花序为柔荑花序;叶缘有锯齿………………………………………………3
2.雌花、雄花序为柔荑花序;叶全缘或3裂…………………………………………4
3.雌花、雄花序均为柔荑花序;聚花果圆柱形………………………………………桑属
3.雄花序为柔荑花序,雌花成头状花序………………………………………………构属
4.枝有刺;花雌雄异株,雄蕊4………………………...………………………………柘树属
4.枝无刺;花雌雄同株,雄蕊l…………………………………………………………桂木属
2.13.1桑属MorusL.
落叶乔灌木。无顶芽,芽鳞3~6。叶互生,有锯齿或缺裂,托叶披针形,早落。雌雄同株或异株,柔荑花序,花被4,雄蕊4。小瘦果包藏于肉质花被内,集成圆柱性聚花果。约12种,我国9种,各省区均有分布。
分种检索表
1.叶缘锯齿尖或钝………………………………………………………………………………2
1.叶缘有粗钝锯齿,上面疏生糙伏毛………………………………………………………华桑
2.叶表面近光滑,背面脉腋有毛;花柱极短,柱头2裂…………………………………桑树
2.叶表面粗糙,背面有短柔毛;花柱长约100px,柱头2裂,与花柱等长…………鸡桑
1.桑树(家桑、白桑、桑)MorusalbaL.
【形态】:落叶乔木,高达16m,胸径可达1m以上;树冠倒广卵形。树皮灰褐色,根鲜黄色。叶卵形或卵圆形,长6~15crn,先端尖,基部圆形或心形,锯齿粗钝,幼树之叶有时分裂,表皮光滑,背部脉叶有粗毛。花雌雄异株,花柱极短或无,柱头2宿存。聚花果(桑葚)长卵形至圆柱形,成熟时紫黑色、红色或白色。花期4月,果5~6月成熟。
【变种】:垂枝桑CV.Pendula,枝条下垂。龙桑CV.Tortuosa,枝条扭曲。
【分布】:原产中国中部,现南北各地广泛栽培,尤以长江中下游为多。
【习性】:喜光,喜温暖气候,适应性强;耐寒,耐干旱瘠薄和水湿;适合微酸性、中性、石灰质和轻盐酸土壤。
【繁殖】:可用播种、扦插、压条、分根、嫁接等方法繁殖。
【用途】:适合于城市和工矿区及农村四旁绿化。桑树的叶可饲养家蚕的好材料。










2.鸡桑Morus australis Poir.
【形态】:落叶灌木或小乔木。叶卵形,长6~425px,先端急尖或渐尖,基部截形或近心形,缘具粗齿,有时3~5裂,表面粗糙,背面有毛。雌雄异株,花柱明显,长约4cm,柱头2裂,与花柱等长,宿存。聚花果长1~37.5px,熟时暗紫色。
分布】:主产华北、中南及西南,朝鲜、日本、印度及印度尼西亚亦有分布。
习性】:喜光,喜温暖湿润气候,适应于酸性土壤。耐寒,耐干旱瘠薄。
繁殖】:可用播种、扦插、压条等方法繁殖。用途】:适合于城市和工矿区及农村四旁绿化。果实可以生食、酿酒、制醋等。叶也可养蚕。
3.华桑(葫芦桑)Morus cathayana Hemsl.
【形态】:落叶灌木。叶互生,纸质,卵形或阔卵形,长5~10(20)cm,先端短尖或长尖,基部截形或心形,边缘有粗钝锯齿,上面疏生糙伏毛,下面生密短柔毛;叶柄长1.5~125px。花单性,雌雄同株或异株,均排成腋生穗状花序,雄花序长3~125px,雌花序长50px,花被片4;雌花花柱短,柱头2裂。聚花果窄圆柱形,长2~75px,白色、红色或黑色。
【分布】:分布于长江流域各省区。
【习性】:适应性强,耐寒,耐干旱瘠薄。适应于酸性、石灰质及轻碱性土壤。
【繁殖】:用播种、扦插、压条等方法繁殖。
【用途】:适合于山坡、丘陵和工矿区绿化。叶也可养蚕。茎皮纤维可制蜡纸、绝缘纸、皮纸和人造棉,果可酿酒。
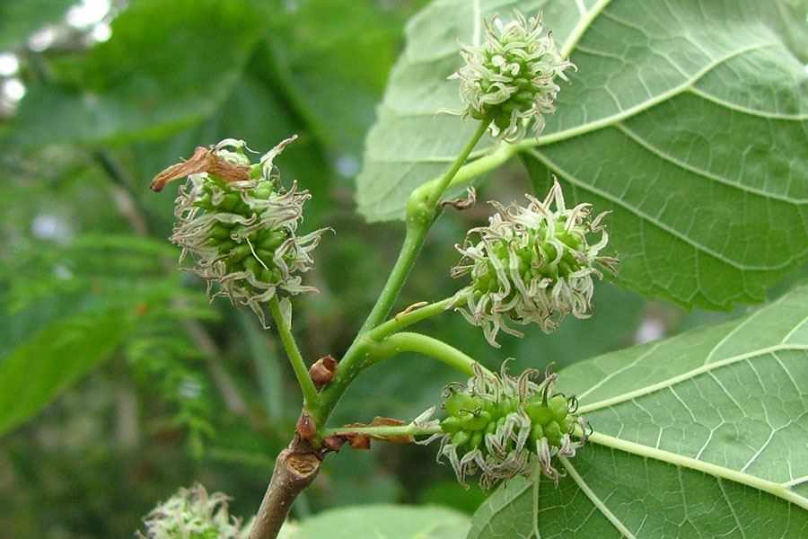
2.13.2构属Brous sonetion LHer.exVent.
落叶乔灌木,有乳汁。无顶芽,侧芽小。单叶互生,有锯齿;托叶早落。雌雄异株,雄花为柔荑花序,雄蕊4枚;雌花成球形头状花序,花柱线形。聚花果圆球形,熟时橙红色。约4种,产东亚地区及太平洋岛屿;我国有3种,南北方均有分布。
构树(楮)BroussonetionpapyriferaL’Her.exVent.
【形态】:落叶乔木,高达16m,胸径1500px。树皮浅灰色,不易裂。小枝密被丝状刚毛。叶互生,有时近对生,卵形,长7~500px,先端渐尖,基部圆形或近心形,缘有锯齿,不裂或有不规则2~5裂,两面密生柔毛。聚花果球形,经2~62.5px,熟时橙红色。花期4~5月,果8~9月成熟。
【分布1:自华北、西北,南到华南、西南各省均有。日本、越南、印度等国也有分布。
【习性】:适应性强,耐干旱瘠薄,也能生长在水边,喜钙质土壤。
【繁殖】:利用雄株枝条扦插、压条、分蘖等方法繁殖。
【用途】:是城乡绿化的主要树种,尤其适合于工矿区及荒山坡地绿化,有可作庭荫树及防护林用。
2.13.3柘树属CudraniaTrec.
乔木或灌木,有时攀缘状,常具枝刺,有乳汁。单叶互生,全缘3裂;托叶早落。雌雄异株,雌雄花均为腋生球形头状花序。聚花果球形,肉质。共约10种,我国产8种。
柘树(柘刺、柘桑)Cudraniatricuspidata(Carr.)Bur.
【形态】:落叶小乔木,常呈灌木状。树皮灰褐色。小枝常有枝刺。叶卵形至倒卵形,长3.5~275px,全缘,有时3裂。聚花果近球形,径约62.5px,成熟时红色,肉质。花期5月,果实9~月成熟。
【分布】:主产华北、中南及西南地区,山东、河南、陕西均有分布。
【习性】:喜光,耐干旱瘠薄。多生于山野或石缝中,喜钙质土壤。
【繁殖】:用播种、扦插或分蘖法繁殖均可。
【用途】:可作绿篱、刺篱、荒山绿化及水土保持树种。叶可养蚕,果实可食用、酿酒,根皮可人药,有清热、凉血之功效。
2.13.4榕属FicusL.
常绿性乔木、灌木或藤木,常具气根。托叶合生,叶多互生,全缘。雌雄同株,花小,生于肉质花序的花托内,形成隐头花序。隐花果肉质,内具小瘦果。
约1000余种,我国有120种,主产长江流域各省区。
分种检索表
1.乔木或灌木……………………………………………………………………………………2
1.常绿藤木;叶基3主脉,先端圆钝………………………………………………………薜荔
2.叶有锯齿及分裂,叶表面粗糙;隐花果较大,直径3~125px………………………无花果
2.叶全缘,不裂,叶面光滑;隐花果较小……………………………………………………3
3.叶较小,长4~8mm,侧脉5~6对;常有下垂气生根………………………………榕树
3.叶较大,长8~30mm,侧脉7对以上………………………………………………………4
4.叶厚革质,侧脉多数,平行而直伸………………………………………………印度橡皮树
4.叶近革质,三角状卵形或三角状长圆形,先端骤尖,延长成尾状…………………菩提树
1.榕树(细叶榕、小叶榕)FicusmiceocarpaL.
【形态】:常绿乔木,枝具下垂须状气生根。叶椭圆形至倒卵形,长4~250px,先端钝尖,基部楔形,全缘或浅波状,羽状脉,侧脉5~6对,革质,无毛。隐花果腋生,近扁球形,径约8mm。广州花期5月,果实7~9月成熟。
【分布】:产华南地区;印度、越南、缅甸、马来西亚、菲律宾等国亦有分布。
【习性】:喜暖热多雨气候及酸性土壤。
【繁殖】:用播种或扦插法繁殖均容易,大枝扦插亦易成活。
【用途】:是华南地区主要的行道树及遮阴树。
2.印度橡皮树FicuselasticaRoxb.
【形态】:常绿乔木,高达45m;含乳汁,全体无毛。叶厚革质,有光泽,长椭圆形,长10~750px,全缘,中脉显著,羽状侧脉多而细,且平行直伸;托叶大,淡红色,包被幼芽。
【分布】:原产印度、缅甸。
【习性】:喜暖热多雨气候及酸性土壤,比较耐阴,不耐寒。
【繁殖】:用压条、扦插法繁殖易成活。
【用途】:我国长江流域及北方各大城市多作盆栽观赏,温室越冬。华南暖地也可露地栽培,作庭荫树及观赏树。有各种斑叶的品种,颇为美观。
3.无花果FicuscaricaL.
【形态】:落叶小乔木,高可达10m,或成灌木状。小枝粗壮。叶广卵形或近圆形,长10~500px,常3~5掌状裂,边缘波状或成粗齿,表面粗糙,背面有柔毛。隐花果梨形,长5~200px,绿黄色。
【分布】:原产地中海沿岸,约在4000年前在叙利亚即有栽培。我国各地均有栽培。
【习性】:喜光,喜温湿气候,适于酸性土壤,比较耐阴,不耐寒。
【繁殖】:用分株、压条、扦插等方法繁殖极易成活。
【用途】:长江流域以南地区常用于庭院及公共绿地;华北多盆栽观赏,需在温室越冬。果可生食或制成罐头,根、叶亦可人药,治肠炎、腹泻等。
4.菩提树(阿里多罗、印度菩提树、思维树、毕钵罗树)FicusreligiosaL.
【形态】:常绿乔木,树皮平滑,树冠圆形或倒卵形,气生根下垂如须。近革质叶互生,三角状卵形;先端长尾状,基部宽楔形至浅心形,全缘或波状。花腋生无总梗,扁球形。雌雄同株;雄花很少,花被片3~4,雄蕊1枚;雌花有梗或无梗,花多数,花被片4~5,子房有柄,花柱线形。隐花果,扁平圆形,冬季成熟,紫黑色。花期3~4月,果熟5~6月。
【分布】:原产印度,现亚洲大部分国家均有栽培。
【习性】:喜光,喜温暖气候,适于酸性土和中性土。
【繁殖】:播种繁殖。
【用途】:菩提树树姿美观,叶片绮丽,是一种常绿风景树。适于街道、公园、寺院作行道树或庭荫树。我国大部分地区用于盆景观赏。菩提树花可人药,有发汗解热之功。
5.薜荔FicuspumilaL.
薜荔
【形态】:常绿藤木,借气根攀缘;含乳汁。小枝有褐色绒毛。叶互生,椭圆形,长4~cm,全缘,基部3主脉,革质,表面光滑,背面网脉隆起并构成显著小凹眼;同株上常有异形小叶,柄短而基歪。隐花果梨形或倒卵形,径3~125px。
【分布】:原产华东、华中及西南;日本印度也有分布。
【习性】:喜温暖湿润气候,耐阴,耐旱,不耐寒;在酸性、中性土壤中能生长良好。
【繁殖】:可用播种、扦插和压条等方法繁殖。
【用途】:在园林中是点缀假山石及绿化墙垣和树干的好材料。果实富含果胶,可制凉粉食用。根、茎、叶、果均可入药,有祛风除湿、活血通络等功效。

